◆ 横浜南部の貴重な自然をたいせつに!   
  N P O 法 人       ホタルのふるさと瀬上沢基金
ホーム 瀬上沢って? 当基金について 活 動 報 告 イベント 資 料 ひ ろ ば
 ひろば > 【お便り〜】 【一品】 【瀬上昔話】 【植物と生物たち】 ぎゃらり〜 ワッ!リンク 
        




  
植 物
1 2 3 4
ガガイモ () ノブドウ (野葡萄)  チカラシバ (力芝)  タマアジサイ (玉紫陽花) 
ガガイモ科の蔓性多年草。長い根茎があり、葉は長ハート形。茎を切れば白汁が出る。又の名を乳草とも言う。 

              ('09/9RT)
ブドウ科の落葉低木。巻きひげは二股に分かれ、葉は丸いハート形。淡黄緑色5弁の小花をつけ、後球状の液果を結ぶ。食べられない。ヘビブドウとも言う
             ('09/9RT)
イネ科の多年草。高さ30〜60cmになる。黒紫色の小穂を密生した円柱状の大きな穂を形成する。 

             ('09/9RT)
ユキノシタ科の小低木。山地の渓流の岸・崖などに自生。密生した淡紫色の細花と、周囲に少数の装飾花が並ぶ。つぼみが苞に包まれて球形なのでこの名がある。        ('09/9RT)


5 6 7 8
センニンソウ (仙人草)  へクソカズラ (屁尿葛)  ハンゲショウ (半夏生)  ネムノキ (合歓木) 
キンポウゲ科の多年生蔓草。葉は3〜7小葉の複葉で、花柄で物に巻きつく。白い花を多数開き、白毛のある痩果を結ぶ。有毒植物。
             ('09/9RT)
全体に悪臭があるのでこの名が付いた。外面白、内面紫色の小花をつけ、果実は球形、黄褐色に熟す。

            ('09/9RT) 
夏至から11目(今年は7月2日)が半夏至(半夏生)。その頃に花が咲き、葉は白く”化粧”する。

             ('10/7TT)
マメ科の落葉小高木。夏紅色の花を球状に集めて咲く。葉は夜閉じて垂れる。


             ('10/7TT)


9 10 11 12
アキノタムラソウ (秋の多紫草) オカタツナミソウ (岡立浪草) オニドコロ (鬼野老)  モクレン (木蓮、木蘭) 
長く伸びた茎に淡紫色の花が多数付くため、”多紫草”


             ('10/7TT)
茎の上部で重なり合うように咲く花の姿が、北斎が描く波しぶき”立浪”に似ている。 

             ('10/7TT)
ひげ根が多く、根は曲がっている。これを野の老人と見立てた。姫野老より葉が大きいので鬼が付いた。
             ('10/7TT)
モクレン科の落葉低木。春、葉に先立って暗紅紫色6弁の大型の花を開く。

             ('10/7TT)


13 14 15 16
ヒツジグサ (未草) ヤブミョウガ (藪茗荷)  イヌビワ (犬枇杷) エゴノキ () 
スイレン科の多年生水草。7〜8月頃、水面上に、ハスに似た白色の花を開く。
           
             ('10/7TT)
ツユクサ科の多年草。ミョウガに似、葉は長楕円計。夏、白色の小花を開き、のち球形・藍色の果実を結ぶ。
             ('10/7TT)
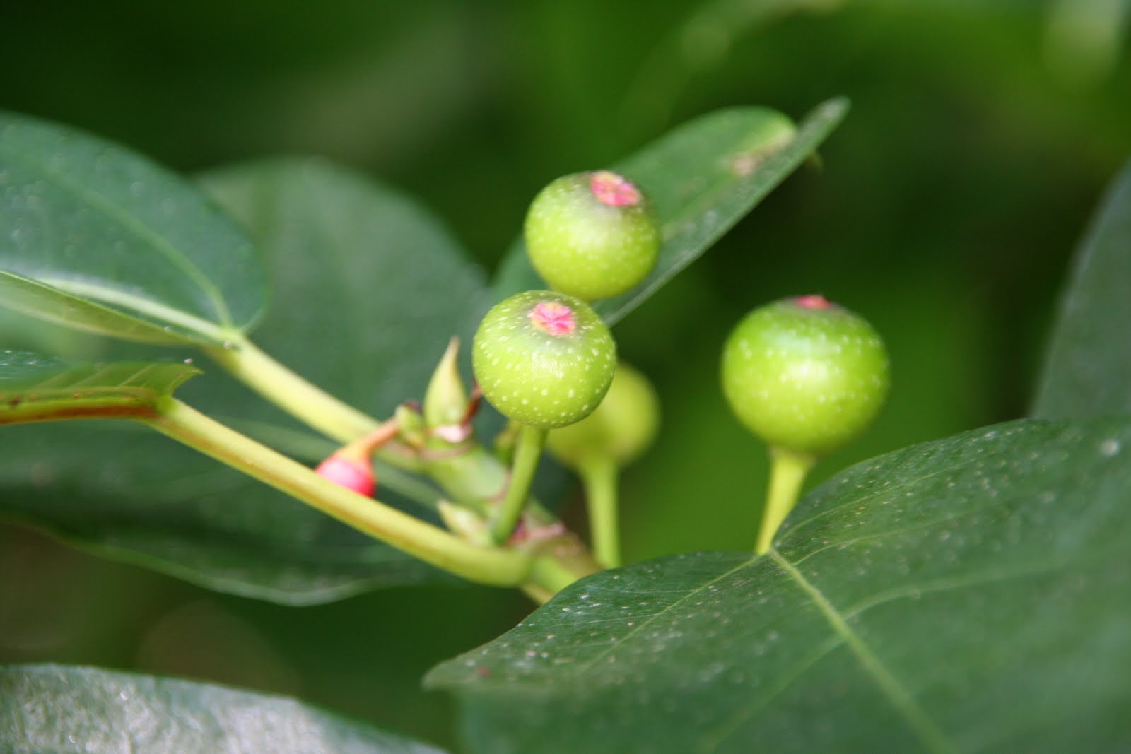
クワ科の落葉低木。イチジクに似た小果をつける。秋に黒紫
色に熟し、食べられる。

             ('10/8TT)
初夏、白色五弁花をつける。果実は球状で熟すと殻が裂けて褐色の種子を出す。

             ('10/8TT)


17 18 19 20



ヤマウド (山独活)        
野生のウド



             ('10/8TT)







生き物
1 2 3 4
 コミスジ クロアゲハ   オオシオカラトンボ ♂  オオシオカラトンボ ♀
 



             ('10/7TT)
 



             ('10/7TT)




             ('10/7TT)




             ('10/7TT)


5 6 7 8


マシジミ カラスアゲハ (烏揚羽)         
イタチ川で見つけた、シジミ。
淡水に生息する蜆。
汽水に生息し、一般に食される
”ヤマトシジミ”とは別種。

             ('10/7TT)
アゲハチョウ科の大形蝶。幼虫はサンショウ、キハダ等の葉を食う。 

             ('10/7TT) 
   


  Copyright (C) 2008-2010  ホタルのふるさと瀬上沢基金                               
                                                    ホーム     頁トップ